Weekend à Marseille
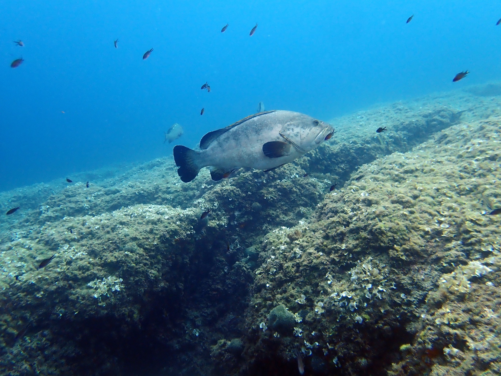
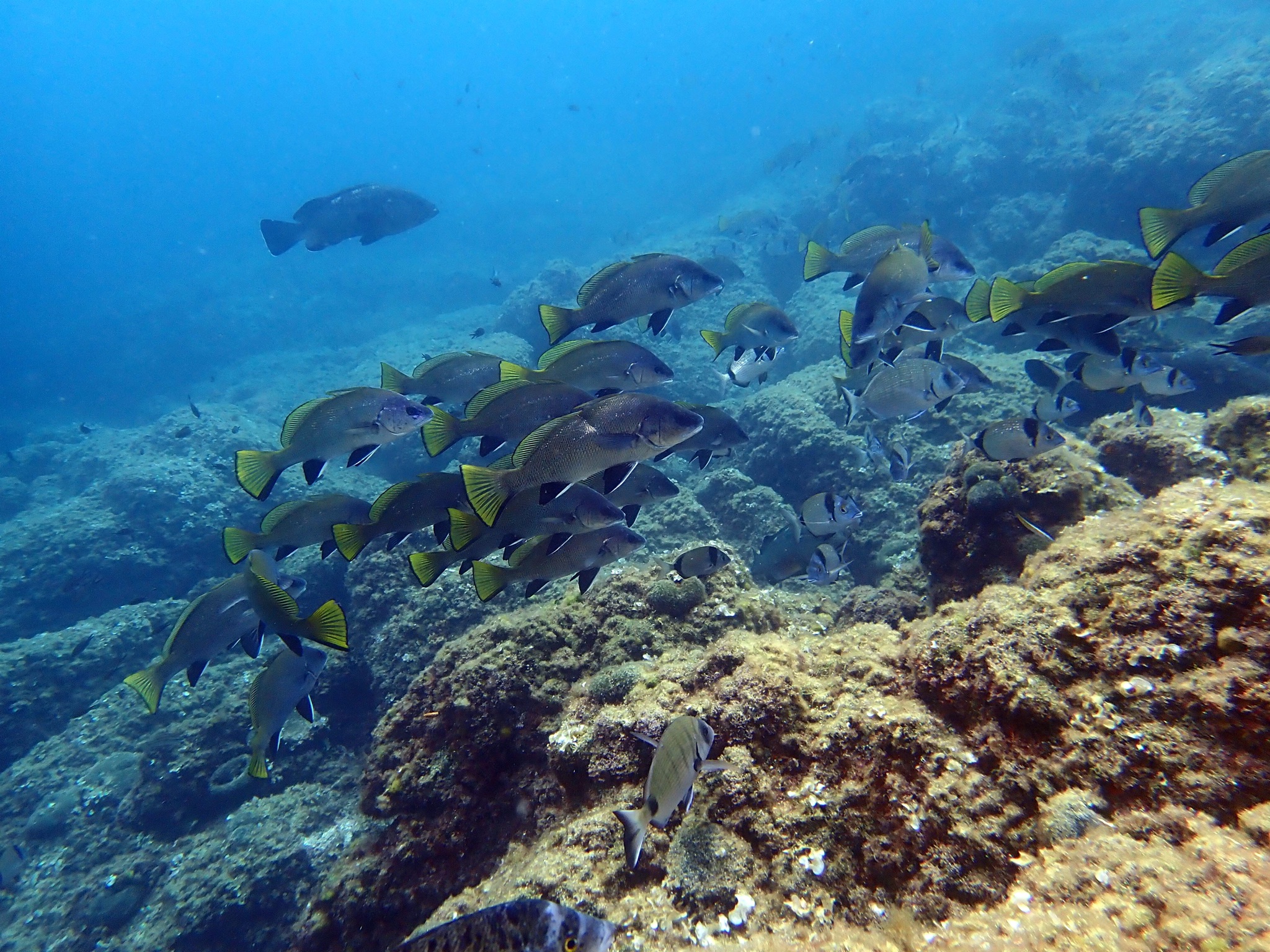
Sortie plongée au club ASSE de Marseille. Superbes plongées dans l'archipel de RIOU autour de l'ile de Plane, de l'ile de Riou et de l'ile Maïre.
Weekend à Marseille
Sortie plongée au club ASSE de Marseille. Superbes plongées dans l'archipel de RIOU autour de l'ile de Plane, de l'ile de Riou et de l'ile Maïre.